Warum eine Grenzvermessung wichtig ist

Eine Grenzvermessung sorgt dafür, dass die tatsächlichen Grundstücksgrenzen eindeutig festgelegt und rechtlich abgesichert sind. Was viele nicht wissen: Die sichtbaren Grenzen vor Ort – Zäune, Mauern, Gebäude – entsprechen nicht immer den rechtlich gültigen Grenzen.
🔍 Typische Gründe für Abweichungen
Gebäude wurden vor Jahrzehnten ohne exakte Vermessung errichtet
Alte Pläne sind ungenau oder widersprüchlich
Zäune wurden "nach Gefühl" gesetzt
Grundstücke wurden mehrfach geteilt, ohne dass Grenzen sauber nachgeführt wurden
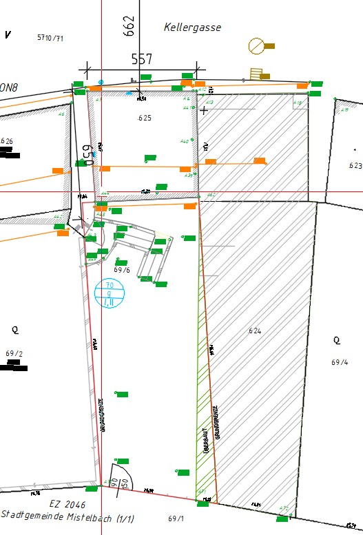
Genau hier kommt der Geometer ins Spiel: Durch eine Grenzvermessung mit Grenzverhandlung werden die tatsächlichen Grenzen festgestellt, mit allen Beteiligten abgestimmt und anschließend im Grenzkataster eingetragen. Damit entsteht eine dauerhafte, nachvollziehbare und rechtlich verbindliche Grundlage.
🏠 Ein Praxisbeispiel: Wenn die Realität von der Karte abweicht
Ein kleines Grundstück mit einem Bestandsgebäude wurde angekauft. Das Grundstück war vollständig eingefriedet, und entlang der vermeintlichen Grenze stand seit Jahrzehnten das Nachbargebäude.
Bei der Vermessung zeigte sich jedoch: 👉 Das Nachbargebäude ragt bis zu 1 Meter auf das fremde Grundstück.
Durch die Grenzverhandlung wurden die tatsächlichen Grenzen festgelegt und gesichert. Das bestehende Gebäude darf zwar vorerst stehen bleiben, aber:
Bei zukünftigen Bauvorhaben muss die Situation korrigiert werden.
Rechtlich ist die Lage nun eindeutig dokumentiert.
Streitigkeiten sind ausgeschlossen, weil die Grenze im Kataster fixiert ist.
📌 Der große Vorteil: Rechtssicherheit für alle
Eine korrekt durchgeführte Grenzvermessung schafft:
Transparenz über die tatsächlichen Eigentumsverhältnisse
Schutz vor späteren Konflikten
Planungssicherheit für Bauvorhaben
Dokumentation, die auch Jahrzehnte später noch nachvollziehbar ist
